Villa d'Arte werkt intensief samen met Baerz & Co Luxury Homes International, het trefpunt waar exclusieve huizen en veeleisende kopers samenkomen. Hieronder vindt u een geselecteerd aanbod van de meest exclusieve huizen op alle hot-spots in 20 landen rond de Middellandse zee, de Alpen, Mexico en Dubai.

AMSTELVEEN
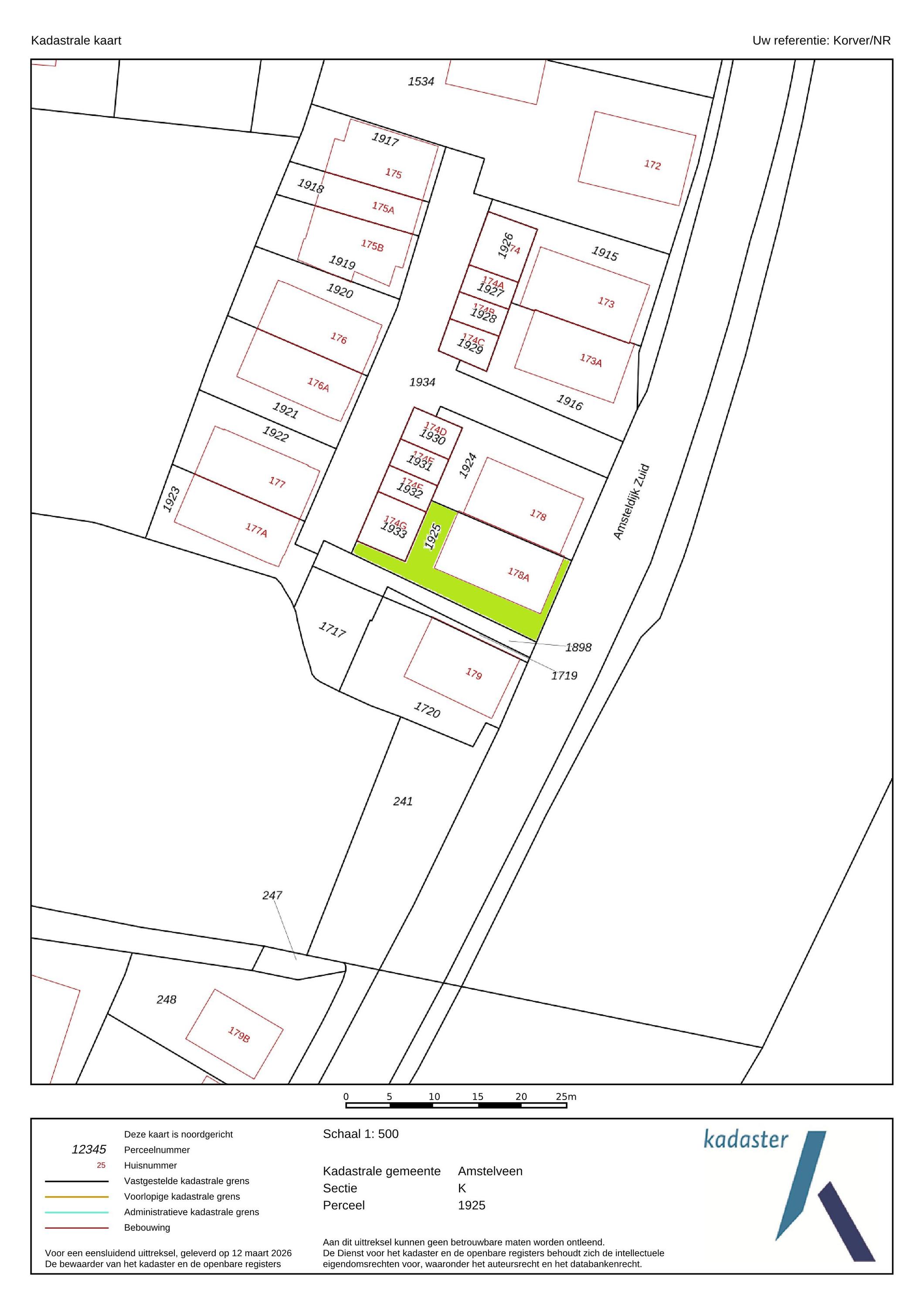
Amsteldijk Zuid 178 A - 1189 VM
Netherlands

€1,375,000
Living Area
197m2
Plot Size
180m2
Bedrooms
4

Description

Experience the ultimate outdoor lifestyle in the charming village of Nes aan de Amstel, where this spacious semi-detached home is situated on freehold land directly on the water. With your own private jetty at the front door and a private mooring for your boat on the river De Amstel, you will enjoy an unparalleled combination of peace, space, and luxury, while the city remains within easy reach. The property has recently been fully renovated and is in perfect condition.

Located along the picturesque river De Amstel and bordering the vast Bovenkerkerpolder, Nes aan de Amstel offers a unique blend of natural beauty, waterways, and rural tranquility. At the same time, you can reach Amsterdam within 15 minutes without traffic, and Amstelveen, Schiphol Airport, and major highways (A2, A4, A9, and A10) are all easily accessible.

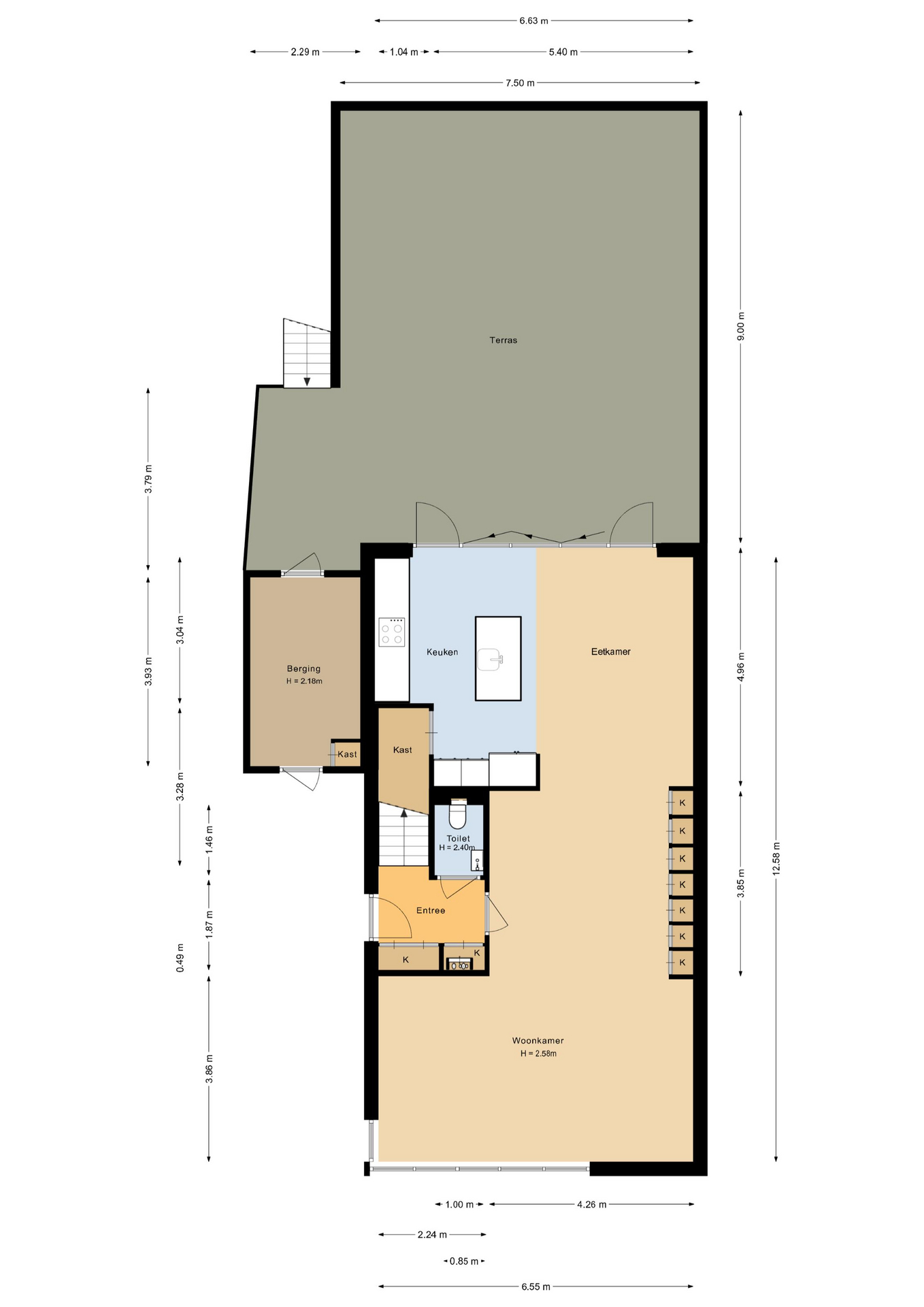
Layout of this unique home:

GROUND FLOOR
Via the driveway, you reach the front door and the spacious entrance hall, which features a wardrobe, toilet, and staircase to the upper floor. The living room is located at the front of the house and offers breathtaking views over the Amstel. Large windows allow an abundance of natural light to flood in, while the motorized curtains can be operated via an app. Luxaflex Silhouette blinds (motorized, with memory function) are also installed here. The stylish black tiled floor with underfloor heating, built-in dimmable Modular spotlights, and large custom-designed cabinets complete the space.

At the rear of the home, you will find the generous and luxurious open-plan kitchen, designed for both cooking and living. The kitchen features a central island with sink, a Quooker, dishwasher, combi ovens, induction hob with extractor, a large LG refrigerator with freezer and ice maker, a Liebherr wine climate cabinet, and extensive storage space. A built-in bench at the large dining table creates a cozy seating area, while double French doors provide access to the spacious terrace garden, where light, space, and tranquility come together.

FIRST FLOOR
The staircase in the hall leads to the first floor, where four generously sized bedrooms are located. The two bedrooms at the rear are connected by an open passage and share a private bathroom with a toilet, large washbasin, modern shower, and towel radiator. As throughout the home, air conditioning is installed here for year-round comfort.

At the front are two additional rooms: one currently used as a stylish home office and the other as a spacious master bedroom. The master bedroom features a custom-built wardrobe and a luxurious en-suite bathroom. This bathroom exudes elegance, with light designer tiles, a walk-in shower with double rain and hand showers, a skylight that floods the space with natural light, a double vanity with Hotbath taps and drawers, a sleek wall unit, and an automatic toilet with remote control.

The hallway also provides access to a practical utility room with the central heating system, as well as the washing machine and dryer. Custom-built storage cabinets along the hallway and staircase to the roof terrace offer ample storage and a well-organized living space.

SECOND FLOOR
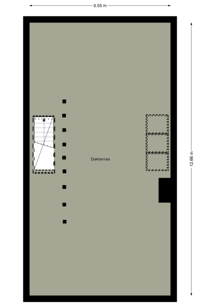
The second floor features a spacious roof terrace offering stunning views over the surrounding nature and the Amstel. The terrace is equipped with a large pergola, electricity, atmospheric lighting, a water connection, and a practical storage cabinet, making it the perfect place to relax, entertain, or enjoy drinks with guests.

TERRACE GARDEN
The terrace is fully tiled with large, light-colored tiles and bordered by well-maintained planting. Subtle garden lighting creates a stylish and inviting outdoor space, perfect for enjoying the outdoors both during the day and in the evening. An electric awning provides shade when needed.

At the front of the property, there is a private jetty on the Amstel, suitable for sunbathing, swimming, or mooring your boat, allowing you to enjoy beautiful trips to the Rondehoep or Amsterdam.

Beneath the terrace, there is a garage accessible via a fixed staircase, currently used as a studio complete with a kitchenette, toilet, electric underfloor heating, and air conditioning. The garage is also accessible via an electric door at the rear of the property.

This home combines luxury, comfort, space, waterfront living, and excellent accessibility. It is a place where families can build their dream life, where water sports and nature enthusiasts will feel at home, and where you can enjoy the ultimate outdoor lifestyle every day, with the city always close by.

Nes aan de Amstel offers a unique combination of tranquility, nature, and practical amenities. The village itself has a warm, community-oriented atmosphere and is ideal for families. The small-scale primary school and modern childcare facilities provide personal attention and a safe, inspiring environment for children. The community center, De Nesse, forms the social heart of the village, offering sports and hobby activities, music lessons, and community events that keep the village close-knit and active.

For nature lovers, water sports enthusiasts, and active residents, the area is truly a paradise. Cycling and walking along the Amstel, boating to the Rondehoep, or enjoying the peace of the surrounding polder landscape—all of it is literally just around the corner. For additional amenities or a day in the city, Uithoorn, Amstelveen, and Ouderkerk aan de Amstel are just minutes away, offering a wide range of shops, restaurants, and recreational facilities.

Nes aan de Amstel is located along the river De Amstel and is part of the municipality of Amstelveen. The village offers the perfect balance between rural tranquility and excellent accessibility. Within 15 to 25 minutes, you can reach Amsterdam, Utrecht, Hilversum, or Schiphol Airport, while nearby towns such as Uithoorn and Amstelveen provide all daily amenities, shops, and leisure options.

KEY FEATURES

Recently fully renovated and painted using high-quality materials;
Equipped with 5 new (built-in) air conditioning units in all rooms, with 3 outdoor units (4 units controllable via WiFi/app);
Philips Hue lighting throughout the home and garden;
Video doorbell with screens in the kitchen and on the first floor;
Professional WiFi access points (antennas) installed throughout all indoor and outdoor areas, with a professional Ubiquiti router and recorder;
Electric awning at the rear with WiFi/app control and storm protection;
Entire home fitted with Luxaflex insect screens and screen doors;
New top-of-the-range central heating boiler (6 months old) with carbon dioxide interrupter;
Nest smoke and carbon monoxide detectors throughout, with night lighting and WiFi/app connectivity;
Gardena automatic irrigation systems for the terrace, roof terrace, front garden, driveway, and jetty;
Two automatic (Japanese-style) toilets with remote control;
A small homeowners’ association (VvE) is in place for the shared access road, with monthly service costs of €13.51 and sufficient reserves for maintenance;
The garage is currently used as a studio; therefore, in deviation from the standard measurement guidelines, the square meters of auxiliary indoor space have been added to the living area.

Interested in this property? Contact your own NVM purchasing agent directly.
Your NVM purchasing agent will represent your interests and save you time, money, and stress. You can find addresses of NVM purchasing agents in Utrecht and surrounding areas on Funda.

Nes aan de Amstel is particularly popular with families due to its small-scale primary school, modern childcare facilities, and safe play areas. The community center De Nesse forms the social heart of the village, offering sports, hobby, and cultural activities. The surrounding area is ideal for cyclists, walkers, water sports enthusiasts, and nature lovers thanks to its location along the river and the expansive Bovenkerkerpolder.

The village combines a charming, small-scale character with the advantages of city life within easy reach. Living in Nes aan de Amstel means enjoying space, water, nature, and quality of life, all just a short distance from urban amenities.

Features

Alarm system
Air conditioning
Transfer of ownership
Asking Price
€ 1.375.000
Status
beschikbaar
Acceptance
in overleg
Construction
Kind of house
Herenhuis
Building type
twee onder een kapwoning
Construction period
2012
Energy rating
A
Roof type
plat dak
Bedrooms
4
Bathrooms
2
Surface Areas And Volume
Living Area
197 m2
Other indoor space
0 m2
Exterior space attached to the buildinge
157 m2
External storage space
9 m2
Volume in cubic meters
698 m3
Plot Size
180 m2
Facilities
Mechanische ventilatie
Alarminstallatie
Tv kabel
Buitenzonwering
Airconditioning
Domotica
Natuurlijke ventilatie
Aan water
Aan rustige weg
Vrij uitzicht
Aan vaarwater
Baerz & Co Property Brochure

Brochure

Videos

Floor Plans

Korver makelaars

Stationsweg 12
3641RG Mijdrecht

welkom@korvermakelaars.nl
+31 297 25 04 21

www.korvermakelaars.nl

Information / Viewing request

John Korver profile image
John Korver
Real estate agent

Buying a Luxury Property in Amstelveen

Amstelveen offers refined residences, a cosmopolitan atmosphere, and exceptional connectivity. The blend of green areas, international amenities, and community sophistication continues to captivate global buyers and families seeking both privacy and vibrant urban connections.