Villa d'Arte werkt intensief samen met Baerz & Co Luxury Homes International, het trefpunt waar exclusieve huizen en veeleisende kopers samenkomen. Hieronder vindt u een geselecteerd aanbod van de meest exclusieve huizen op alle hot-spots in 20 landen rond de Middellandse zee, de Alpen, Mexico en Dubai.

BERGEN OP ZOOM
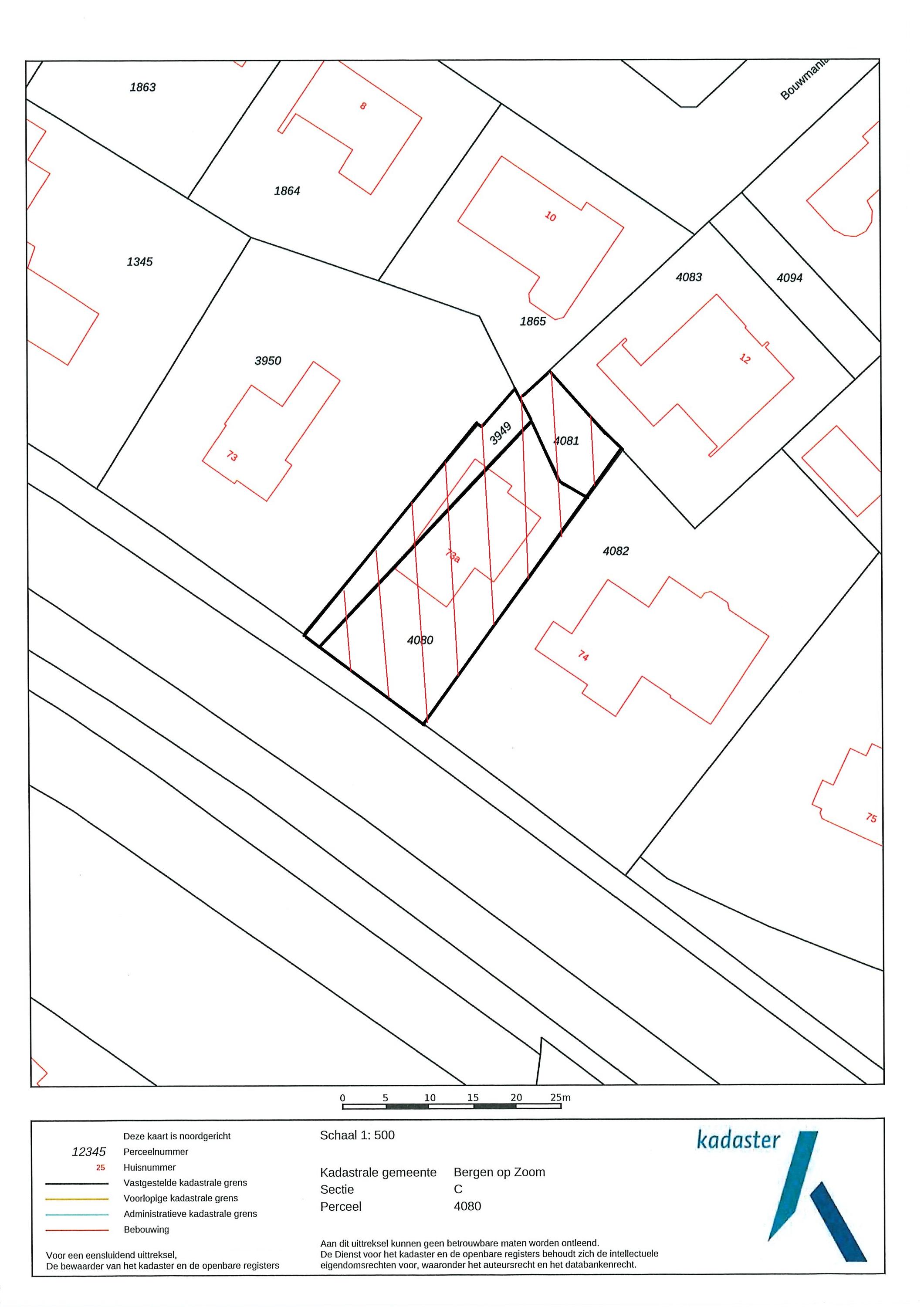
Noordzijde Zoom 73 a - 4614 AE
Países Bajos

€1,075,000
Superficie habitable
301m2
Tamaño del terreno
612m2
Dormitorios
5

Descripción

Villa Bergen op Zoom ofrece una rara combinación de tranquilidad y vida urbana, a pocos minutos del centro histórico. Esta propiedad cuenta con 301 m² de superficie habitable en una parcela de 612 m², conjugando privacidad, lujo discreto y cercanía a comercios y restaurantes. La construcción de 1999 garantiza estándares modernos con aislamiento completo, doble acristalamiento y certificación energética clase B. La participación en un parque solar local proporciona acceso a nueve paneles solares y contribuye a reducir el impacto ambiental.

La arquitectura rinde homenaje a la elegancia de los años treinta con un distintivo tejado de paja, que acentúa su atractivo visual. En el interior, los suelos de roble macizo, los acabados de estuco liso y la inteligente distribución de los espacios generan una atmósfera refinada. Las amplias zonas de salón y comedor se conectan sin esfuerzo a un jardín paisajístico y una terraza privada, diseñados ambos para la relajación y privacidad. Un despacho flexible en la planta baja, cinco dormitorios y un sótano completo con garaje, bodega y espacios adicionales de trabajo o fitness satisfacen las necesidades más variadas de vida y trabajo.

La seguridad y el confort se refuerzan con un avanzado sistema de alarma, fibra óptica, calefacción por suelo radiante parcial y portones eléctricos. Villa Bergen op Zoom aúna la tranquilidad del retiro con las comodidades modernas, ofreciendo un santuario ideal para quienes valoran el espacio, la discreción y la calidad duradera.

Explora Bergen Op Zoom con Baerz, Tu Buscador y Asesor Personal de Propiedades de Confianza

Trabajar con asesores experimentados abre las puertas a oportunidades fuera de mercado y a negociaciones realizadas con maestría en un entorno confidencial. Los asesores son esenciales para equilibrar la conservación del patrimonio histórico con el estilo de vida contemporáneo. Su acompañamiento garantiza una transacción fluida y transparente y un soporte continuado a lo largo de todo el proceso de adquisición y propiedad.

Evita los errores comunes

Los compradores internacionales a menudo pierden tiempo valioso en listados en línea duplicados, desactualizados o engañosos, especialmente porque casi el 30% de las casas de lujo nunca aparecen en el mercado público. Los agentes del vendedor representan los intereses del vendedor, no los del comprador. Incluso solicitar información sobre una propiedad puede resultar en que un agente del vendedor te registre como su “cliente” sin tu consentimiento.
Con Baerz Property Finders & Advisors, evitas por completo todos estos errores. Trabajamos únicamente en tu nombre, ofreciendo representación independiente, orientación clara y acceso a todas las propiedades disponibles, incluidas oportunidades fuera del mercado que otros nunca llegan a ver.

¿Interesado en un Asesor Personal de Propiedades?

Te mostramos todas las casas disponibles en un solo lugar. No dudes en contactarnos para saber cómo podemos satisfacer tus necesidades y proteger tus intereses exclusivamente.

Características

Paneles solares
Sistema de alarma
Transferencia de propiedad
Precio solicitado
€ 1.075.000
Estado
verkocht onder voorbehoud
Aceptación
in overleg
Construcción
Tipo de casa
Villa
Tipo de edificio
vrijstaande woning
Periodo de construcción
1999
Calificación energética
B
Tipo de tejado
zadeldak
Dormitorios
5
Baños
2
Superficies y Volumen
Superficie habitable
301 m2
Otro espacio interior
48 m2
Espacio exterior adjunto al edificio
9 m2
Volumen en metros cúbicos
1293 m3
Tamaño del terreno
612 m2
Instalaciones
Alarminstallatie
Glasvezel kabel
Zonnepanelen
In centrum
Baerz & Co Property Brochure

Folleto

Vídeos

Helmig Makelaardij en Taxatieburo o.z. B.V.

Dorpsstraat 107
4661 HN Halsteren

info@helmigmakelaardij.nl
+31 164-685925

www.helmigmakelaardij.nl

Solicitud de información / Visita

Erwin Schuurbiers profile image
Erwin Schuurbiers
Makelaar / Taxateur

Comprar una propiedad de lujo en Bergen Op Zoom

Bergen Op Zoom ofrece una equilibrada combinación de propiedades históricas, vida comunitaria dinámica y servicios de primer nivel. Su atractivo reside en la experiencia urbana holandesa auténtica, orientada a una clientela internacional exigente.