Villa d'Arte werkt intensief samen met Baerz & Co Luxury Homes International, het trefpunt waar exclusieve huizen en veeleisende kopers samenkomen. Hieronder vindt u een geselecteerd aanbod van de meest exclusieve huizen op alle hot-spots in 20 landen rond de Middellandse zee, de Alpen, Mexico en Dubai.

AMSTELVEEN
Amsteldijk Zuid 178 A - 1189 VM
Nederland

€1.375.000 k.k.
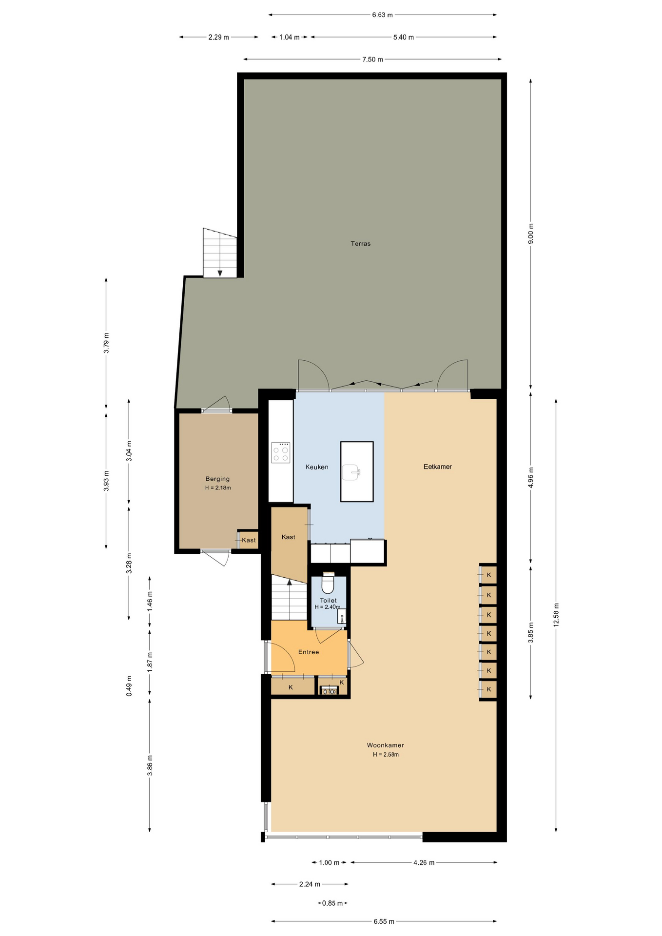
Woonoppervlakte
197m2
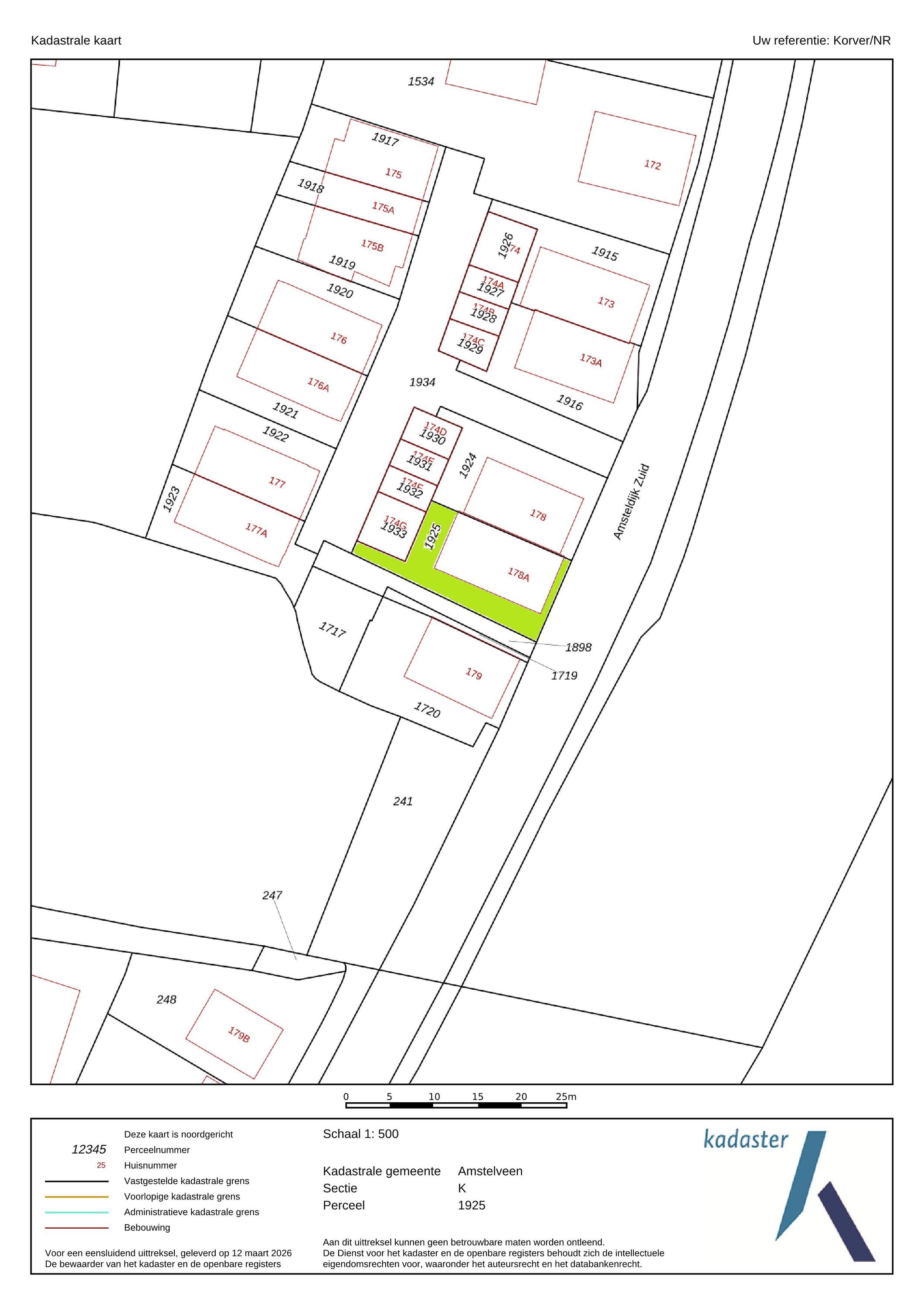
Perceeloppervlakte
180m2
Slaapkamers
4

Omschrijving

Beleef het ultieme buitenleven in het karakteristieke dorp Nes aan de Amstel, waar deze riante twee-onder-een-kapwoning op eigen grond direct aan het water ligt. Met een eigen steiger voor de deur en een privé aanlegplaats voor uw boot in de rivier De Amstel, geniet u hier van een ongeëvenaarde combinatie van rust, ruimte en luxe, terwijl de stad altijd binnen handbereik is. De woning is recent geheel verbouwd en in perfecte staat!

Gelegen aan de schilderachtige rivier de Amstel, grenzend aan de uitgestrekte Bovenkerkerpolder, biedt Nes aan de Amstel een unieke mix van natuurschoon, waterwegen en landelijke rust. Tegelijkertijd bent u binnen 15 minuten, helemaal filevrij, in Amsterdam en bereikt u snel Amstelveen, Schiphol of de belangrijkste snelwegen (A2, A4, A9 en A10)

De indeling van deze unieke woning is als volgt:

BEGANE GROND
Via de oprit bereikt u de voordeur en de ruime hal, voorzien van garderobekast, toilet en trap naar de verdieping. De woonkamer ligt aan de voorzijde van de woning en biedt een adembenemend uitzicht over de Amstel. Grote raampartijen laten het licht binnenstromen, terwijl het gemotoriseerde gordijn via een app te bedienen is. Tevens hangen hier ook Luxaflex Silhouttes (gemotoriseerd, met stand geheugen). De stijlvolle zwarte plavuizenvloer met vloerverwarming, ingebouwde dimbare spots van Modular en de grote designkasten maken het geheel af.

Aan de achterzijde bevindt zich de royale, luxe open keuken, ontworpen voor koken én leven. Het spoeleiland, de Qooker, vaatwasser, combi-ovens, inductiekookplaat met afzuigkap, grote LG-koelkast met vriezer en ijsblokjesmachine, Liebherr-wijnklimaatkast en uitgebreide kastruimte maken deze keuken tot een droom voor elke liefhebber van koken en gastvrijheid. Een vaste bank bij de grote eettafel zorgt voor een gezellige zithoek, terwijl dubbele openslaande deuren toegang geven tot de royale terrastuin, waar licht, ruimte en rust samenkomen.

EERSTE VERDIEPING
Via de trap in de hal bereikt u de eerste verdieping, waar vier royale slaapkamers zijn gesitueerd. De twee slaapkamers aan de achterzijde zijn met elkaar verbonden door een open doorgang en beschikken over een eigen badkamer met toilet, een ruime wastafel, een moderne douche en handdoekenradiator. Net als in de rest van de woning is hier ook airconditioning aanwezig, voor optimaal comfort het hele jaar door.

Aan de voorzijde bevinden zich nog twee kamers: momenteel is één kamer in gebruik als stijlvolle kantoorruimte terwijl de andere dienstdoet als riante master-bedroom. Deze master is uitgerust met een op maat gemaakte kastenwand en een luxe ensuite badkamer. De badkamer straalt elegantie uit met lichte designtegels, een inloopdouche met dubbele stort- en handdouche, een lichtstraat die daglicht overvloedig naar binnen laat, een dubbele wastafel met Hotbath kranen en voorzien van lades, een strak wandmeubel en een automatisch toilet met afstandsbediening.

De gang biedt toegang tot de praktische stookruimte met CV-installatie en waar tevens de wasmachine en droger zijn geplaatst. Langs de gang en de trap naar het dakterras bevinden zich op maat gemaakte vaste kasten, die zorgen voor meer dan voldoende bergruimte en een overzichtelijke indeling van het gehele woonoppervlak.

TWEEDE VERDIEPING
Op de tweede verdieping bevindt zich een riant dakterras, vanwaar u een adembenemend uitzicht heeft over de omliggende natuur en het water van de Amstel. Het terras is voorzien van een ruime pergola, elektriciteit, sfeervolle verlichting, wateraansluiting en een praktische bergkast, waardoor het de ideale plek is om te ontspannen, te borrelen of gasten te ontvangen.

TERRASTUIN
Het terras is volledig betegeld met grote, lichte tegels en omlijst met verzorgde beplanting langs de randen. Dankzij subtiele tuinverlichting ontstaat hier een stijlvolle en uitnodigende buitenruimte, waar u zowel overdag als ’s-avonds van het buitenleven kunt genieten. Het elektrische zonnescherm zorgt voor schaduw wanneer nodig.
De woning heeft aan de voorzijde een eigen steiger aan de Amstel, geschikt als zon- en zwemsteiger of voor uw boot, waarmee u heerlijke tochten kunt maken naar de Rondehoep of Amsterdam.

Onder het terras bevindt zich een garage die via een vaste trap bereikbaar is en die momenteel dienstdoet als studio, compleet met keukenblok, toilet, elektrische vloerverwarming en airconditioning. De garage is tevens bereikbaar via een elektrische deur aan de achterzijde van de woning.

Deze woning, combineert luxe, comfort, ruimte, waterleven en optimale bereikbaarheid. Het is een plek waar gezinnen hun droomleven kunnen opbouwen, waar watersportliefhebbers en natuurliefhebbers hun hart ophalen, en waar u iedere dag geniet van het ultieme buitengevoel, met de stad altijd binnen handbereik.

Nes aan de Amstel biedt een unieke combinatie van rust, natuur en praktische voorzieningen.
Het dorp zelf ademt dorpsgezelligheid en is perfect voor gezinnen. De kleinschalige basisschool en moderne kinderopvang zorgen voor persoonlijke aandacht en een veilige, inspirerende omgeving voor kinderen. Het dorpshuis De Nesse vormt het sociale hart van het dorp, met sport- en hobbyactiviteiten, muzieklessen en dorpsbijeenkomsten die de gemeenschap hecht en actief houden.

Voor natuurliefhebbers, watersporters en sportievelingen is de omgeving een waar paradijs. Fietsen en wandelen langs de Amstel, varen naar de Rondehoep of genieten van de rust van de polder, alles ligt letterlijk om de hoek. Wie behoefte heeft aan extra voorzieningen of een dagje stad, bereikt binnen enkele minuten Uithoorn, Amstelveen of Ouderkerk aan de Amstel, waar winkels, horeca en recreatie volop aanwezig zijn.
Nes aan de Amstel ligt aan de rivier de Amstel en maakt deel uit van de gemeente Amstelveen. Het dorp biedt de perfecte combinatie van landelijke rust en uitstekende bereikbaarheid. Binnen 15 tot 25 minuten bent u in Amsterdam, Utrecht, Hilversum of Schiphol, terwijl de nabije steden Uithoorn en Amstelveen alle dagelijkse voorzieningen, winkels en recreatiemogelijkheden bieden.
DE PLUSPUNTEN
+ De woning is recent geheel verbouwd en geschilderd met hoogwaardige materialen;
+ De woning beschikt over 5 nieuwe (ingebouwde) airco units in alle kamers, met 3 buitenunits. ( 4 airco's via wifi/app bestuurbaar);
+ Philips Hue verlichting in en rondom het huis;
+ Videodeurbel met screens in keuken en op de eerste etage;
+ Professionele Wifi accesspoints (antennes) in alle ruimten, binnen en buiten. Professionele Ubiquity router en recorder;
+ Elektrisch zonnescherm aan achterzijde met wifi/app en stormbeveiliging;
+ De gehele woning is voorzien van Luxaflex horren en hordeuren;
+ Nieuwe top off the range verwarmingsketel (6 maanden oud) met kooldiocide onderbreker;
+ De gehele woning is voorzien van Nest rook- en kooldioxide melders, met nachtverlichting en wifi/app;
+ Gardena automatische bewateringssytemen op terras, dakterras, voortuin, oprit en steiger;
+ 2 automatische toiletten met afstandsbediening (Japans);
+ Er is een kleine VVE aanwezig voor de gezamenlijke weg, maandelijkse servicekosten €13,51 per maand. Er is genoeg reserve voor onderhoud;
+ De garage is thans als studio in gebruik, daardoor is in afwijking op de meetinstructie de m² van de overig inpandige ruimte bij de woonoppervlakte opgeteld.

Interesse in deze woning? Schakel direct uw eigen NVM?aankoopmakelaar in.
Uw NVM?aankoopmakelaar behartigt uw belangen en bespaart u tijd, geld en zorgen. Adressen van collega NVM?aankoopmakelaars in Utrecht en omgeving vindt u op Funda.

Nes aan de Amstel is populair bij gezinnen vanwege de kleinschalige basisschool, moderne kinderopvang en veilige speelplekken voor kinderen. Het dorpshuis De Nesse vormt het sociale hart van het dorp met sport-, hobby- en culturele activiteiten. De omgeving is ideaal voor fietsers, wandelaars, watersporters en natuurliefhebbers dankzij de ligging aan de rivier en de uitgestrekte Bovenkerkerpolder.

Het dorp combineert een klein, gezellig dorpskarakter met de voordelen van de stad binnen handbereik. Wonen in Nes aan de Amstel betekent ruimte, water, natuur en kwaliteit van leven op korte afstand van stedelijke voorzieningen.

Kenmerken

Alarm system
Air conditioning
Overdracht
Vraagprijs
€ 1.375.000 k.k.
Status
beschikbaar
Aanvaarding
in overleg
Bouw
Soort woonhuis
Herenhuis
Soort bouw
twee onder een kapwoning
Bouwjaar
2012
Energieklasse
A
Soort dak
plat dak
Slaapkamers
4
Badkamers
2
Oppervlakten en inhoud
Woonoppervlakte
197 m2
Overige inpandige ruimte
0 m2
Gebouwgebonden buitenruimte
157 m2
Externe bergruimte
9 m2
Inhoud
698 m3
Perceeloppervlakte
180 m2
faciliteiten
Mechanische ventilatie
Alarminstallatie
Tv kabel
Buitenzonwering
Airconditioning
Domotica
Natuurlijke ventilatie
Aan water
Aan rustige weg
Vrij uitzicht
Aan vaarwater
Baerz & Co Property Brochure

Brochure

Video’s

Plattegronden

Korver makelaars

Stationsweg 12
3641RG Mijdrecht

welkom@korvermakelaars.nl
+31 297 25 04 21

www.korvermakelaars.nl

Informatie / bezichtigingsaanvraag

John Korver profile image
John Korver
Real estate agent

Een luxe woning kopen in Amstelveen

Amstelveen biedt verfijnde woningen, een internationale ambiance en uitzonderlijke connectiviteit. De combinatie van groene omgeving, internationale voorzieningen en gemeenschapszin spreekt wereldwijd gezinnen en kopers aan die privacy én een levendige stedelijke verbinding zoeken.